امكانية الوصول

الاعلانات

 

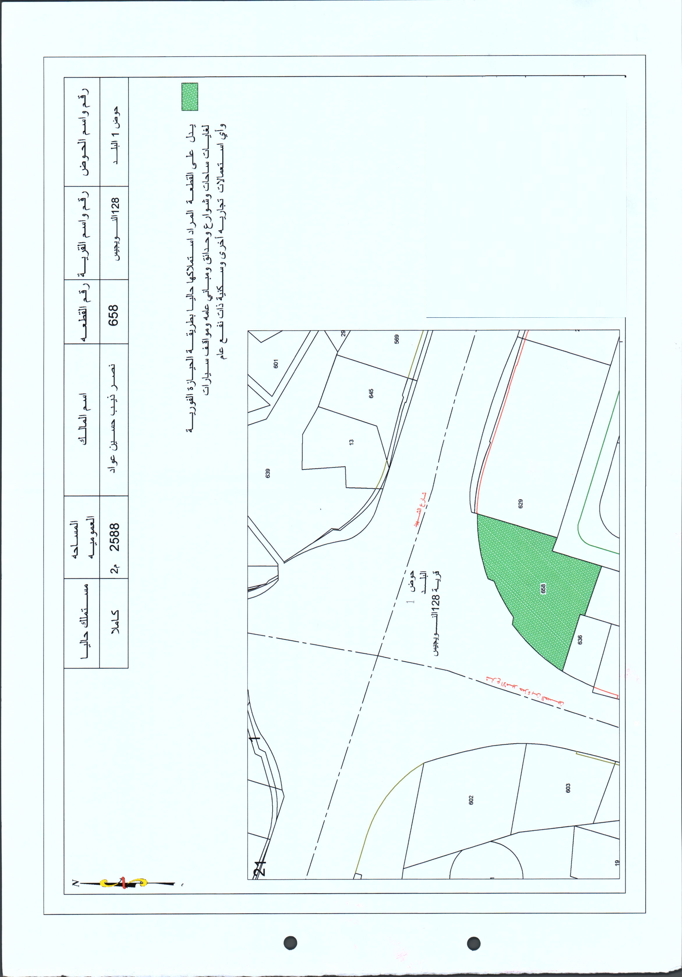
أعلن بمقتضى أحكام المواد (179 ,181 ,182 ,183 ,204) من قانون الملكية العقارية رقم (13) لسنة 2019  بأن أمانة عمّان  الكبرى عازمة بعد مضي خمسة عشر يوماً من تاريخ نشر هذا الإعلان في جريدتين محليتين على تقديم طلب إلى مجلس الوزراء الموقر لإستصدار قرار إستملاك كامل مساحة قطعة الأرض رقم (658) حوض (1) البلد /النويجيس و البالغة مساحتها  (2588)م2, والعائدة ملكيتها للسيد /نصر ذيب حسين عواد , وذلك بطريق الحيازة الفورية لغايات ساحات وشوارع وحدائق ومباني عامة ومواقف سيارات وأي استعمالات تجارية وسكنية أخرى ذات نفع عام


وكما هو مبين بالمخطط المرفق رقـــم (3753/15) تاريخ 4/2/2025 , وذلك مشروعاً للنفع العام بالمعنى المقصود في قانون الملكية العقارية السالف الذكر  .

للاطلاع على المخطط، يرجى الضغط على الرابط التالي: [المخطط المرفق].

                                                                                                               رئيس لجنة امانة عمان

                                                                                             الدكتور يوسف الشواربه

 

 

كيف تقيم محتوى الصفحة؟